ĐẤT ĐẸP- GIÁ TỐT- CẦN BÁN NHANH ĐẤT tại Xã Long Hải, Long Điền, Bà Rịa VT

Bà Rịa Vũng Tàu

Giá: 2,7 Tỷ

  • Mã tin: 12623
  • Vị trí: Bà Rịa Vũng Tàu
  • Ngày cập nhật: 19/01/2026
  • Số người xem: 112
  • Loại địa ốc: Bán đất
  • Tình trạng pháp lý: Sổ Hồng
  • Hướng: Không xác định
  • Số điện thoại: Mọi nhu cầu liên hệ : chính chủ 0916636188

Thông tin chi tiết

ĐẤT  ĐẸP- GIÁ TỐT- CẦN BÁN NHANH ĐẤT tại Xã Long Hải, Long Điền, Bà Rịa VT

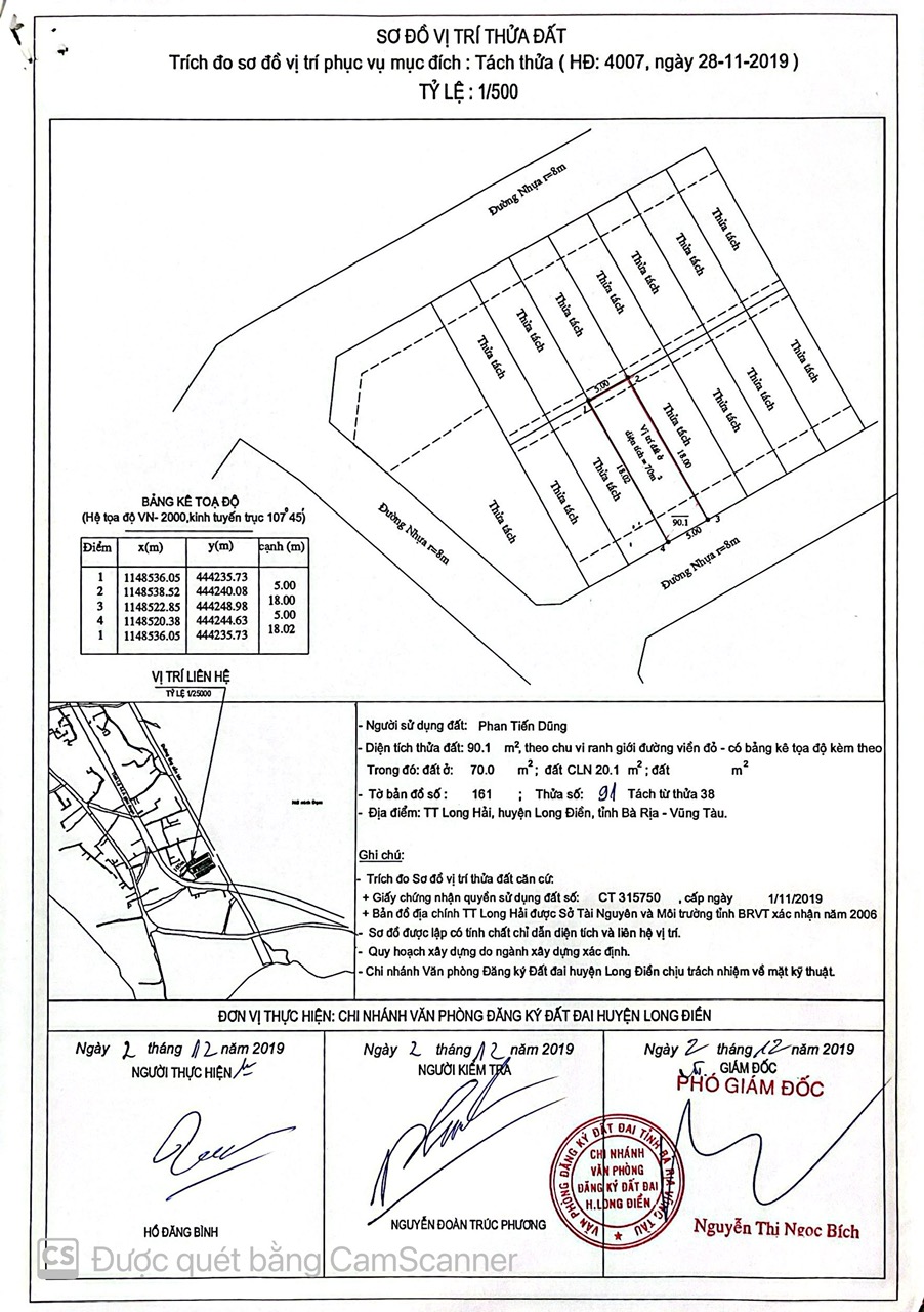
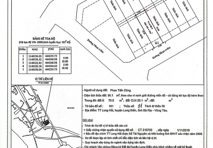
Địa chỉ:  Thị trấn Long Hải, xã Long Hải, huyện Long Điền, tỉnh Bà Rịa – Vũng Tàu
( Nay là Xã Long Hải, TP HCM)
Diện tích :  90,1 m2. Đất ở 70m2, còn lại đất trồng cây lâu năm
Giá bán: 2,7 tỷ ( bớt chút lộc cho khách thiện chí mua). Giá này chỉ áp dụng với KH mua trước tết
Tiện ích : 
- Đối diện resort charm Long Hải
- Ra biển chỉ 150m. hướng đông nam nhìn ra biển
- Đường rộng có vỉa hè, cách đại lộ nguyễn tất thành 20m
- Thích hợp mua để ở lâu dài hoặc đầu tư đều rất hời
 - Pháp lý: sổ hồng đầy đủ, thủ tục sang tên nhanh chóng
 - Tiềm năng lớn, đảm bảo sinh lời cao
   Mọi nhu cầu liên hệ : chính chủ 0916636188

Tìm kiếm nhanh
TEL: 0394902445